









Pantelimon-Tineretului.
Amplasata pe una dintre strazile situate in zona Tineretului din Pantelimon, aceasta este o casa potrivita pentru niste tineri parinti. Pentru ca in mai putin de 5 minute, pe jos, esti la noua cresa si gradinita din Pantelimon. O constructie moderna, ultra-dotata, cu personal de calitate si cu o reputatie impecabila. Iar parintii stiu si inteleg cat este de importanta prezenta acestei institutii de invatamant, langa casa.
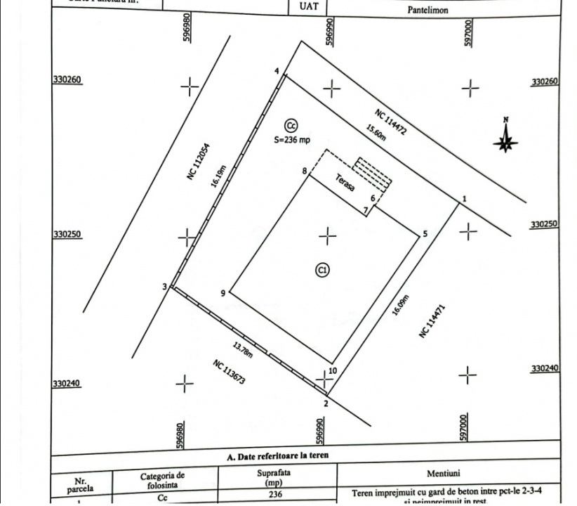
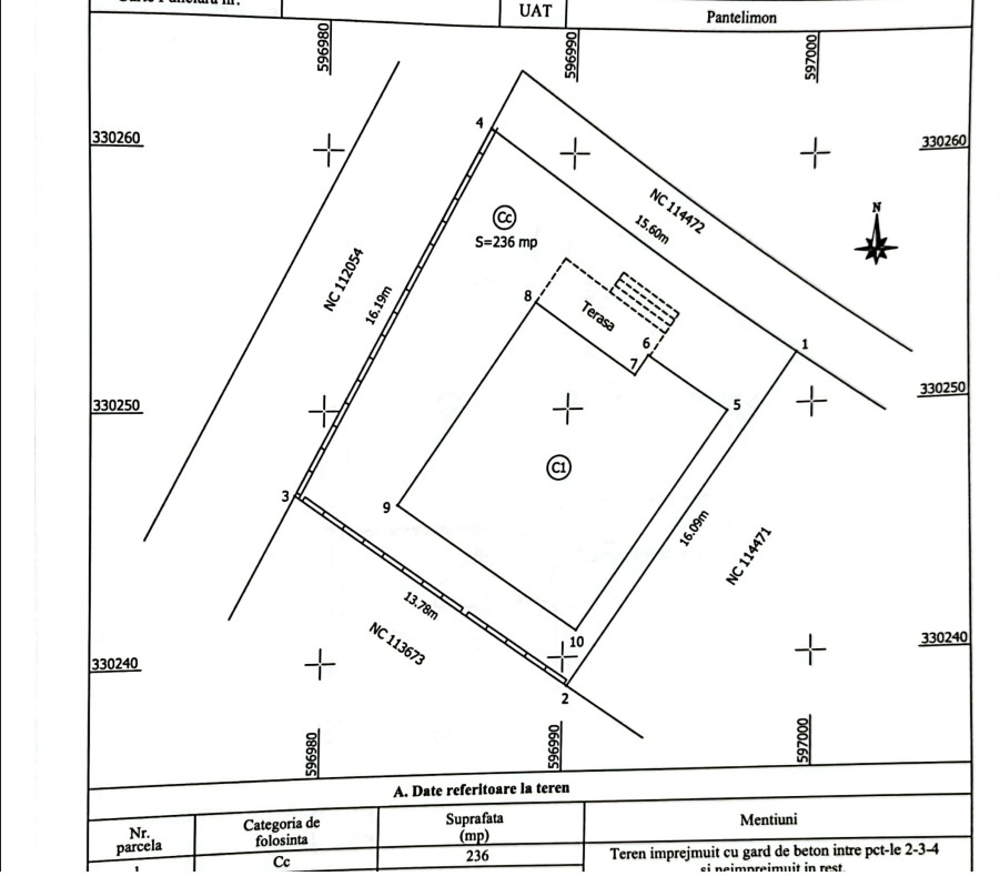
Casa, construita in 2018 si achizitionata in 2019, este dispusa pe parter, plus un pod de depozitare. Suprafata utila a casei este de 79 mp, in timp ce cea construita este de 92 mp. Terenul casei este in suprafata de 236 mp, cu o deschidere la strada de 15,6 ml.
Casa este compartimentata astfel: 3 dormitoare, bucatarie, baie si living. Adiacent, o terasa de 13 mp, acoperita.
Iar daca sunteti la inceput de drum, o sa va bucurati sa aflati ca aceasta casa se vinde mobilata si utilata. Pentru a va face usor noul inceput!
Pentru cei care nu cunosc zona, iata cateva detalii importante:
-este cu siguranta una dintre cele mai civilizate zone din oras, iar pentru a demonstra acest aspect, mentionez doar ca aici locuisc primarul, vice-primarul, plus mai multi oficiali din primarie;
-toate casele sunt noi, construite incepand cu 2014 si pana azi; nu avem zona veche, cu gospodarii taranesti;
-vecinii sunt majoritari veniti de la oras, ca raspuns la nevoia de spatiu;
-oamenii sunt veseli, petrec, fac gratare, insa civilizatia este la ea acasa si totul are masura, control si bun simt.
Accesul catre locatie, se face fie prin DN3-Strada Rascoalei, iar apoi pe Tineretului pana la casa, fie prin Centru-Tractorului-Curcubeului. Doua cai de acces, plus, acces la capatul autobuzului 454, in 6-8 minute de mers pe jos.
Acestea fiind scrise, daca va doriti sa va bucurati de avantajele locuirii la casa, de curte, de un loc de joaca pentru copil, de gratare cu prietenii si liniste si relaxare in serile de vara, va astept cu drag la vizionare!